Read the latest news from regional and global sources, presenting different voices and perspectives.
Hurricane Melissa makes second landfall in Cuba, heads for Bahamas later today
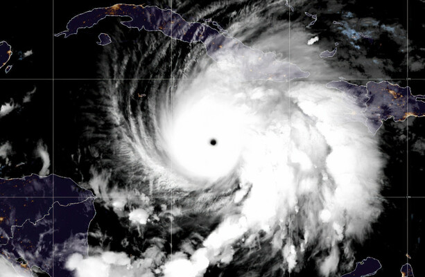
The Gulf Coast Storm Team is tracking the movement of Hurricane Melissa as it moves toward eastern Cuba. Melissa made its first landfall near New Hope, Jamaica on Tuesday afternoon with 185 mph winds. The storm's intensity made it the first...
Hurricane Melissa loses strength en route to Cuba after wreaking 'disaster' in Jamaica
HURRICANE MELISSA WEAKENED to a category 3 storm before reaching Cuba on Wednesday, US weather officials said. The storm caused widespread destruction in Jamaica as one of the most powerful hurricanes on record there, lashing the island nation...
Hurricane map resembling giant todger as weather chiefs warn '25 inches' on the way
The latest hurricane map has left social media users baffled(Image: US National Hurricane Center) Jamaica has been suffering the "strongest storm in history", with the category five hurricane the most powerful to strike the island since records...
Hurricane Melissa latest update: Disaster in Jamaica after world's most powerful storm hits Caribbean island, landfall in Cuba
Jamaica after Hurricane Melissa horror is limping back to the life even as downgraded Hurricane Melissa made landfall in Cuba early on Wednesday. Jamaican Prime Minister Andrew Holness declared the island a "disaster area" and authorities warned...
Melissa makes landfall in Cuba bringing damaging winds, flooding rains and dangerous storm surge
OVERNIGHT. WPBF 25 NEWS STARTS WITH BREAKING NEWS. BREAKING NEWS FIRST AT FIVE, HURRICANE MELISSA MAKES LANDFALL IN CUBA OVERNIGHT AS A CATEGORY THREE STORM, AND NEW VIDEO FROM OVERNIGHT SHOWING THE IMPACTS AS THE STORM APPROACHED OVERNIGHT. MORE...
Hurricane Melissa churns across Cuba as Category 2 storm
Hurricane Melissa is grinding across Cuba as a Category 2 storm after pummelling Jamaica as one of the strongest Atlantic hurricanes on record, the US National Hurricane Centre said. At least one death was reported in Jamaica, where Melissa roared...
EXCLUSIVE: Adelita Grijalva on gov’t shutdown, House swearing-in, trans rights
LIMA, Peru — A former U.S. Agency for International Development official who participated in an LGBTQ rights conference last month in Peru said the Trump-Vance administration is adversely impacting human rights in the U.S. and around the world....
U.N. Security Council pressures Haiti’s leaders to hold general election as deadline nears
U.N. Security Council members warned Haiti’s leaders on Wednesday (October 22, 2025) that time is running out to restore security and hold general elections as the deadline to install a new government nears. Haiti’s transitional presidential...
Hurricane Melissa churns across Cuba after pummeling Jamaica
People walk along a road during the passing of Hurricane Melissa in Rocky Point, Jamaica, Tuesday, Oct. 28, 2025. (AP Photo/Matias Delacroix) SANTIAGO DE CUBA, Cuba — Hurricane Melissa was grinding across Cuba on Wednesday as a Category 3 storm...
Melissa crosses Cuba as a Category 2 hurricane while Jamaica rushes to assess damage
SANTIAGO DE CUBA, Cuba — Hurricane Melissa was grinding across Cuba on Wednesday as a Category 2 storm after pummeling Jamaica as one of the strongest Atlantic hurricanes on record, the U.S. National Hurricane Center said. At least one death was...
Hurricane Melissa hits Cuba after turning Jamaica into ‘disaster area’
Hurricane Melissa has slammed into Cuba after leaving parts of neighbouring Jamaica broken and reeling from ferocious winds and extreme rainfall. The most intense tropical cyclone to hit Jamaica in nearly two centuries, Melissa is one of the...
Security Council LIVE: UN discusses next phase to curb Haiti gang violence, step up aid
Following renewal of the Security Council’s sanctions regime in Haiti and a resolution to create a new Gang Suppression Force to combat the scourge of gang violence, ambassadors heard this afternoon from the top UN official in the country. In his...
UN Urges Action as Haiti Records Thousands of Killings, Kidnappings, and Abuses
(FILE) Haiti is facing an escalating security crisis. Photo: EFE. October 23, 2025 Hour: 12:08 am Haiti is facing an escalating humanitarian and security catastrophe, according to a new report by the United Nations Integrated Office in Haiti...
Hurricane Melissa Devastates Jamaica
Jamaica has been declared a disaster zone after Hurricane Melissa tore through the island, leaving widespread destruction, at least seven people dead, and more than 15,000 residents sheltering in emergency facilities. The storm, one of the most...
Haiti Is Under A Un Arms Embargo: So Why Are 500,000 Illegal Weapons In Circ
By Daniel Dickinson, UN NEWS Up to 500,000 illegal weapons ranging from handguns to battlefield-grade semi-automatic rifles are thought to be in the hands of gangs in Haiti, even though the Caribbean country has been under a UN arms embargo for...
Tropical Storm Melissa brings heavy rain to Haiti & Dominican Republic
SAN JUAN, Puerto Rico (AP) — Tropical Storm Melissa dumped heavy rain on parts of Haiti and the Dominican Republic on Wednesday as forecasters warned of significant flood risk in parts of the northern Caribbean this week. The slow-moving storm was...
Hurricane Melissa Makes Cuba Landfall After Lashing Jamaica
Hurricane Melissa made landfall in Cuba less than a day after it became the strongest recorded storm to strike Jamaica, where it left hundreds of thousands without power and forced hospitals to evacuate. Melissa crossed the coast in eastern Cuba...
Damp morning, cold front moves through tonight
SAVANNAH, Ga. (WTOC) -It’s a slightly cooler start to our Wednesday morning across the Coastal Empire and Lowcountry with temperatures closer to 50 degrees. Light mist/drizzle will be present through the early morning commute, leading to damp...
Hurricane Melissa hits Cuba, forecasters warn of life-threatening flooding and landslides
Open this photo in gallery:A man walks under the rain before the arrival of Hurricane Melissa in Canizo, a village in Santiago de Cuba.Ramon Espinosa/The Associated Press Hurricane Melissa made landfall in eastern Cuba near the city of Chivirico...
Badagry’s Olokun World Festival and rebirth of Yoruba identity
It was the grand finale of the 2025 Olokun World Festival, and beneath the blue expanse of the Atlantic sky, culture met conviction. For the thousands gathered at Badagry’s coastline in Lagos State, this was more than a celebration. It was a...